For sale: bouwgrond
€ 350.000
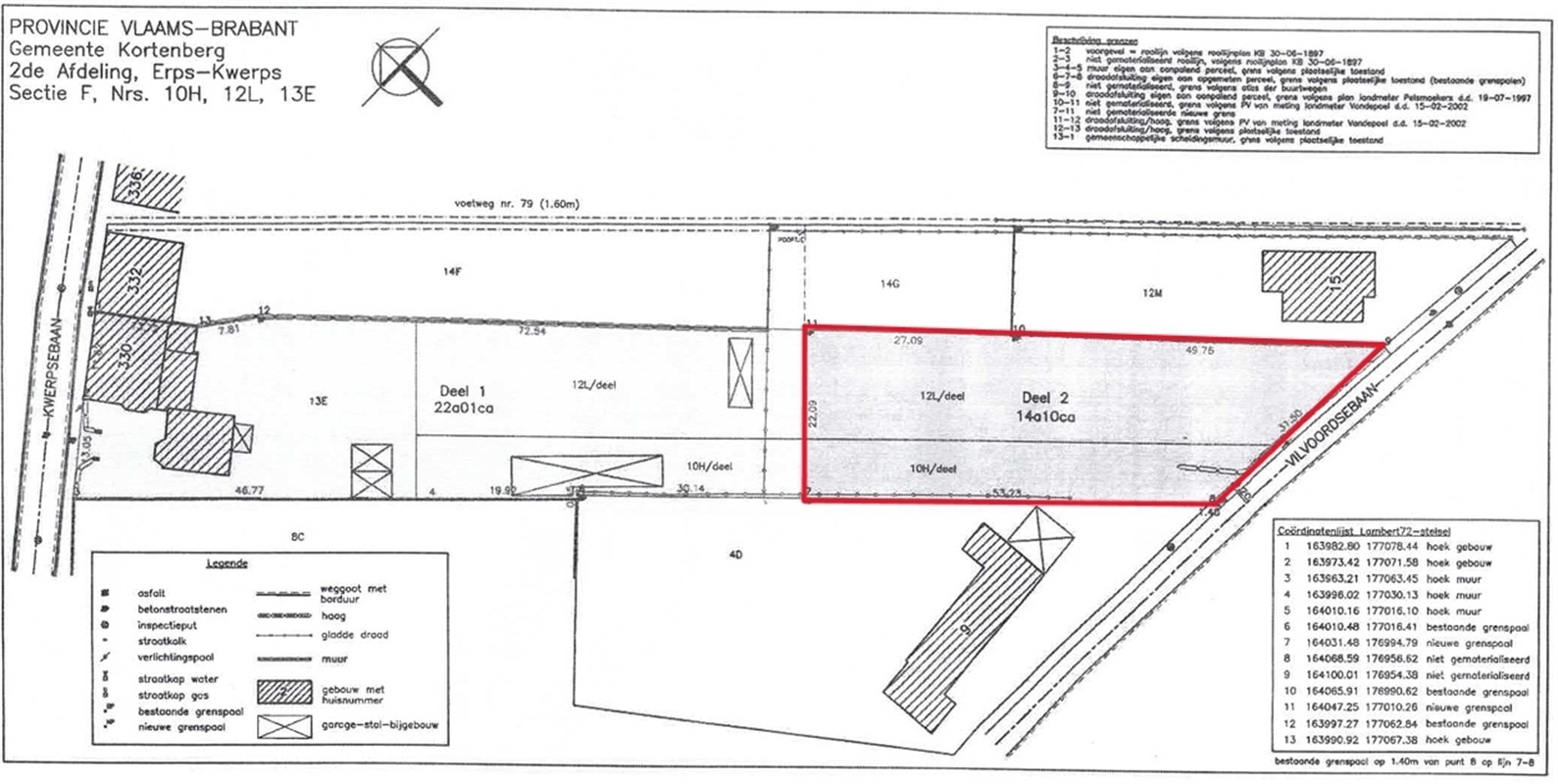
Vilvoordsebaan
, Erps-kwerps
1410 m²
Ground area
--
Habitable area
0 bedrooms
Number of bedrooms
Contact us for more info
Number of bathrooms
--
Garage
Located in a dead-end and child-friendly street, a stone's throw from the pleasant village center of Erps-Kwerps, we are pleased to offer for sale this beautiful building plot. This building plot is extremely central, yet quietly located in a strategic location between Leuven and Brussels, with easy access to major roads and numerous facilities. With a total land area of 14a10ca, this plot is extremely suitable for open construction. The street width is over 31.50 m and the depth no less than 76.80 m. In addition, the plot is also particularly suitable as value investment property with upward potential. Contact us soon and realize your building dreams with the purchase of this fantastic building plot. In short, a real opportunity for quick decision makers.















